Skip to main content
Scarica e leggi gratis su app

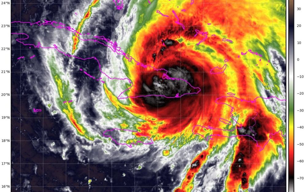
Nell’occhio del ciclone Melissa, l’uragano che ha colpito i Caraibi con venti a 300 km/h

|

In volo nell’occhio dell’uragano Melissa. Lunedì 27 ottobre, un equipaggio della US Air Force Reserve ha attraversato la furia del ciclone – IL VIDEO

Ciclone Melissa

Nell’occhio del ciclone Melissa, l’uragano che ha colpito i Caraibi con venti a 300 km/h

In volo nell’occhio dell’uragano Melissa. Lunedì 27 ottobre, un equipaggio della US Air Force Reserve ha attraversato la furia del ciclone – IL VIDEO

|

Nell’occhio del ciclone Melissa, l’uragano che ha colpito i Caraibi con venti a 300 km/h

In volo nell’occhio dell’uragano Melissa. Lunedì 27 ottobre, un equipaggio della US Air Force Reserve ha attraversato la furia del ciclone – IL VIDEO

|

In volo nell’occhio dell’uragano Melissa. Lunedì 27 ottobre, un equipaggio della US Air Force Reserve ha attraversato la furia del ciclone – classificato di categoria 5 sulla scala Saffir-Simpson – affrontando venti fino a 282 chilometri orari per raccogliere dati destinati al National Hurricane Center (NHC). Si tratta del più potente uragano mai registrato dal 1851, anno d’inizio delle rilevazioni: un fenomeno paragonabile solo a Dorian (2019) e all’uragano del Labor Day del 1935.

Finora, sette le vittime accertate lungo la sua scia: tre in Giamaica, durante i preparativi per la tempesta, tre ad Haiti e una nella Repubblica Dominicana. Dopo giorni di oscillazioni tra la categoria 3 e la 5, attorno alle 13 ora locale (18 in Italia) di ieri Melissa ha colpito in pieno la Giamaica, sferzando la costa con venti che hanno raggiunto i 300 km/h. La prima città investita è stata New Hope, nel sud-ovest dell’isola. I danni sono stati ingenti: scoperchiato il tetto dell’ospedale di Black River dove i pazienti erano stati portati ai piani superiori proprio per scampare alla furia dell’acqua. Tre ore dopo, un blackout totale ha lasciato oltre 530 mila persone senza elettricità: ponti, strade e linee elettriche gravemente compromessi hanno isolato intere aree del Paese. Le autorità hanno dichiarato lo stato di “calamità nazionale”, mentre le comunicazioni restano frammentarie a causa dei guasti alla rete.

Declassato a categoria 3, Melissa ha poi proseguito la sua rotta verso nord-ovest, raggiungendo Cuba attorno alle 4 del mattino (ora italiana) con venti fino a 195 km/h. Le autorità hanno disposto l’evacuazione di oltre 735 mila persone, nel timore di inondazioni catastrofiche: sono attesi fino a 50 centimetri di pioggia sull’est dell’isola e 65 centimetri nelle aree montuose.

Secondo i meteorologi, la forza devastante del ciclone è dovuta al prolungato stazionamento sull’oceano caldo: Melissa ha infatti stazionato per quasi una settimana sopra il Mar dei Caraibi, dove le temperature superficiali erano di due gradi superiori alla media stagionale.

Di Angelo Annese

La Ragione è anche su WhatsApp. Entra nel nostro canale per non perderti nulla!

Leggi anche

03 Febbraio 2026
“La Spagna vieterà l’uso dei social network a chi ha meno di 16 anni”, sulla scia di quanto deciso…
03 Febbraio 2026
L’esercito Usa ha abbattuto un drone dell’Iran che si stava avvicinando alla portaerei Abraham Lin…
03 Febbraio 2026
Kyiv, se l’intento di Vladimir Putin era quello di spezzare la resilienza del popolo ucraino, l’ef…
03 Febbraio 2026
La “tregua del gelo” in Ucraina è finita. La Russia attacca il sistema energetico ucraino e lascia…

Iscriviti alla newsletter de
La Ragione

Il meglio della settimana, scelto dalla redazione: articoli, video e podcast per rimanere sempre informato.

    LEGGI GRATIS La Ragione

    GUARDA i nostri video

    ASCOLTA i nostri podcast

    REGISTRATI / ACCEDI